Vermischtes
Hurrikan „Melissa“: Verheerende Folgen in Jamaika befürchtet
Heftige Winde, Stromausfälle und Zwangsevakuierungen: Jamaika bereitet sich auf „Melissa“ vor. Der Wirbelsturm könnte der stärkste je im Land registrierte Hurrikan werden.
Regierungschef Holness: Verheerende Schäden befürchtet
Foto: Matias Delacroix
Jamaika wappnet sich für den wahrscheinlich schwersten Hurrikan, der den Karibikstaat je direkt getroffen hat. „Melissa“ soll am frühen Dienstagmorgen (Ortszeit) mit der höchsten Hurrikan-Stärke 5 die Küste erreichen. „Ein Sturm der Kategorie 5 wäre eine verheerende Katastrophe“, sagte Regierungschef Andrew Holness. Das Rote Kreuz warnte vor „möglicherweise beispiellosen Folgen“ für das Land mit 2,8 Millionen Einwohnern, weil der Inselstaat noch nie zuvor von einem Wirbelsturm solcher Stärke getroffen worden sei.
Das Sturmsystem befand sich am Montagabend mit Windgeschwindigkeiten von bis zu 280 Kilometern pro Stunde rund 245 Kilometer südwestlich der Hauptstadt Kingston, wie das US-Hurrikanzentrum NHC in Miami mitteilte. Laut dem jamaikanischen Wetterdienst soll der Sturm im Südwesten der Insel zwischen den Bezirken Westmoreland und Saint Elizabeth auf Land treffen.
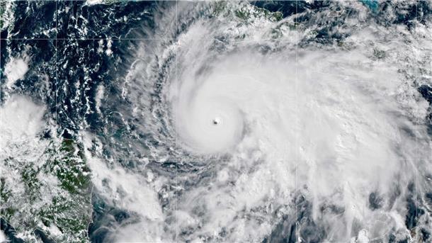
Hurrikan „Melissa“ gilt als ein extrem gefährlicher Wirbelsturm.
Foto: Goes-19/Cira/Noaa
Bei den Vorbereitungen auf den Hurrikan wurden in den vergangenen Tagen auf Jamaika drei Menschen bei Unglücken beim Fällen von Bäumen getötet, wie das Gesundheitsministerium mitteilte. In Haiti und der Dominikanischen Republik kamen nach heftigen Regenfällen mindestens vier Menschen ums Leben.
Der Sturm bewegte sich sehr langsam über Meer
„Melissa“ hatte sich in den vergangenen Tagen über der Karibik zu einem extrem gefährlichen Hurrikan entwickelt. Sein Zentrum bewegte sich zuletzt mit nur rund vier Kilometern pro Stunde vorwärts. Langsam ziehende Hurrikans gelten als besonders zerstörerisch, weil sie länger über einer Region verweilen. „Ein langsames Tempo bedeutet, dass Gemeinden tagelang statt nur stundenlang unerbittlichen Starkregen ertragen müssen“, teilte die Internationale Rotkreuz- und Rothalbmondbewegung in Genf mit.
Den Vorhersagen zufolge wird „Melissa“ Jamaika von der Südküste bis zur Nordküste durchqueren. Ebenfalls als „starker Hurrikan“ werde „Melissa“ später am Dienstag über den Südosten Kubas ziehen, hieß es vom NHC. Am Mittwoch werde der Hurrikan dann die Bahamas erreichen. Bereits vor der Ankunft des Sturms seien „zerstörerische Winde, Sturmfluten und katastrophale Überschwemmungen“ zu erwarten.
Wenn der Hurrikan Jamaika erreicht, rechnen die Meteorologen des NHC an der Südküste mit vereinzelt bis zu vier Meter hohen Sturmfluten. Wegen des zu erwarteten starken Regenfalls auf der Insel ist demnach zudem mit „katastrophalen Überschwemmungen“ und „zahlreichen Erdstürzen“ zu rechnen.
Für Jamaika, die östlichen kubanischen Provinzen Granma, Santiago de Cuba, Guantánamo und Holguín sowie für Teile der Bahamas wurde eine Hurrikan-Warnung herausgegeben. Für die Turks- und Caicosinseln gilt eine Vorwarnung.
Tausende Menschen ohne Strom
Vor Erreichen des Festlandes sorgte „Melissa“ bereits für Stromausfälle, nachdem umstürzende Bäume Stromleitungen beschädigt hatten. Mehr als 50.000 Anschlüsse waren nach Angaben des Energieministeriums ohne Elektrizität. Jamaikas Regierungschef ordnete Evakuierungen für mehrere Ortschaften an und rief die gesamte Bevölkerung dazu auf, möglichst zu Hause zu bleiben und den Anweisungen der Behörden zu folgen. Der Flughafen von Kingston wurde geschlossen.
Auch in Kuba und Bahamas bereiteten sich die Behörden darauf vor, Tausende Menschen aus den besonders gefährdeten Regionen in Sicherheit zu bringen.
Tropische Wirbelstürme entstehen über warmem Ozeanwasser. Die zunehmende Erderwärmung erhöht Experten zufolge die Wahrscheinlichkeit starker Stürme. Die Hurrikansaison beginnt im Atlantik am 1. Juni und dauert bis zum 30. November.

Regierungschef Holness: Verheerende Schäden befürchtet
Foto: Matias Delacroix

Der Hurrikan wird von Süden nach Norden über Jamaika ziehen und danach Kuba erreichen.
Foto: Matias Delacroix